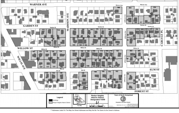
Roslyn Heights Historic District
Various, Roslyn Heights
Created in 1999 by the Town of North Hempstead, this historic district consists is a cohesive neighborhood located between Willis Avenue and the Roslyn Long Island Railroad station. The local residents sought designation to preserve the “Norman Rockwell” character and small village atmosphere that exists in the community.
The initial catalyst for the landmark application was a proposal to demolish the 1914 Ellenoff residence, located at 191 Elm Street and subdivide the property into two substandard building lots. Although that application was denied by the Board of Zoning Appeals, the local residents realized that they must take action if they wished to preserve the character of their neighborhood.
The majority of the 77 homes were built in the late nineteenth and early twentieth centuries, but several non-contributing houses have been built since the 1950's. Most of the early houses were the homes of workmen employed on the nearby Gold Coast estates. The district contains a range of architectural styles; Victorian/Queen Anne, Tudor Revival, Prairie/American Foursquare, and Craftsman, with Colonial Revival being the most predominant style.

Map of the Roslyn Heights Historic District
2 Comments
Good morning, we did extensive work to our home and then applied for tax break being we are in the historic district but to our surprise we were denied the tax break. It was explained to us that our historic district is not state or federally recognized and therefore not entitled to any tax exemption.
One Willow St house was owned by George Gách, renowned and prolific fine artist painter and sculptor, third in line of a five generational art family. His art studio was attached to his house.